
Jamaica is closely monitoring Hurricane Melissa as it approaches the island, prompting widespread concern and preparations. The National Hurricane Center (NHC) is issuing regular updates, and residents are urged to take immediate action to ensure their safety. This article provides the latest information on Hurricane Melissa’s trajectory, potential impact, and crucial preparedness measures.
Understanding Hurricane Melissa
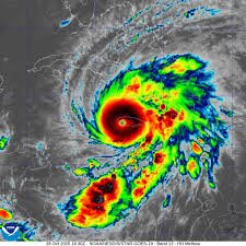
Hurricane Melissa formed in the Atlantic and is currently a Category 1 hurricane. While it’s not expected to make direct landfall as a major hurricane, its proximity to Jamaica poses significant risks, including heavy rainfall, strong winds, and dangerous coastal conditions. The NHC forecasts that Melissa will pass near Jamaica, bringing with it the potential for flooding and landslides. You can find the latest official updates and tracking information on the National Hurricane Center website.
Potential Impacts on Jamaica
The primary threats from Hurricane Melissa include:
- Heavy Rainfall: Significant rainfall is expected across Jamaica, potentially leading to widespread flooding, especially in low-lying areas.
- Strong Winds: Tropical storm-force winds are likely, capable of causing damage to trees, power lines, and structures.
- Storm Surge: Coastal areas are at risk of storm surge, which could cause flooding and erosion.
- Rough Seas: Dangerous sea conditions will make coastal activities unsafe.
Preparedness Measures: Staying Safe During the Hurricane
Jamaican authorities are urging residents to take the following preparedness steps:
- Secure Your Home: Board up windows and doors, and bring loose outdoor items inside.
- Stock Up on Supplies: Gather essential supplies such as food, water, medication, a first-aid kit, a flashlight, and batteries. Aim for at least a 3-day supply.
- Stay Informed: Monitor local news and weather reports for the latest updates.
- Evacuate if Ordered: If you live in a vulnerable area, be prepared to evacuate if authorities issue an evacuation order.
- Charge Devices: Ensure your mobile phones and other essential devices are fully charged.
Resources and Further Information
For more information and updates, please refer to the following resources:
- Office of Disaster Preparedness and Emergency Management (ODPEM) – Jamaica’s official disaster management agency.
- National Hurricane Center (NHC) – Provides the latest forecasts and tracking information.
- Local news outlets in Jamaica.
The safety of Jamaican citizens is paramount. By staying informed and taking appropriate precautions, residents can minimize the risks associated with Hurricane Melissa and ensure their well-being. Remember to heed the advice of local authorities and prioritize safety above all else.




